


Listing Description
A Rare Developer’s Project
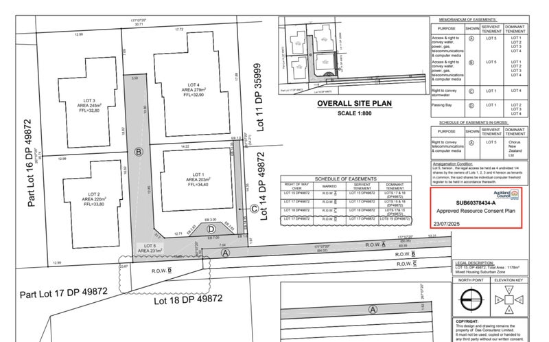
12 Terry Street, Blockhouse Bay, Auckland City, Auckland
Price by negotiation
Details
| Attribute | Value |
|---|---|
| Property type | House |
| Parking | 1 Car Garage, 1 Car Off Street Parking |
| Agency reference | 921924 |
| Broadband in the area |
Description
Ready to Go, Solid Profits Ahead
Where else can you find 1179sqm freehold land with Resource Consent, Building Consent, and EPA all approved for four standalone homes – one on each corner of a private rectangle site?
Driveway from main road to site completed. Internal pending. Services partially connected. Public done, private internal pending. Council contributions paid.
Remove the existing house today and start building tomorrow – this is as “ready-to-go” as the market gets.
The Approved Homes: Lot 1: 178sqm – 4 bed, 2.5 bath, single garage Lot 2: 187sqm – 4 bed, 2.5 bath, double garage Lot 3: 187sqm – 4 bed, 2.5 bath, double garage Lot 4: 251sqm – 5 bed, 3.5 bath, double garage
With construction commencing now, you could aim for completion in early 2026 and have finished homes on the market by mid-2026 – all within a 12-month window.
Why Blockhouse Bay?
- Highly regarded suburb with strong demand, particularly among Indian and Asian communities
- Central-west location, tucked away from road noise yet close to key amenities
This project ticks every box: approvals done, site prepped, profits within reach. Opportunities like this don’t last – contact us today.
Open home times
Agent's details










