


Listing Description
Early access & delayed settlement on RC site
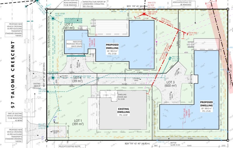
57 Taioma Crescent, Te Atatu Peninsula, Waitakere City, Auckland
Price by negotiation
Details
| Attribute | Value |
|---|---|
| Property type | House |
| Parking | 6 open spaces |
| Agency reference | MYN26983 |
| Broadband in the area |
Description
A fantastic development opportunity in a popular Te Atatu Peninsula location. Do you want to make the most of a delayed settlement and early access to renovate the dwelling on site?
Resource consent has already been granted for three dwellings on this 1591sqm site, including the retention and enhancement of the existing character brick home. The hard work is done, resource consent is approved, Watercare sign-off is in place, the site has been cleared and is ready to go. Utilase the current approved plans or make them your own.
This is a project perfect for smaller developers or builders who want to get started without taking on a large, high-risk development. With consents already secured, you can move quickly into the build phase and focus on delivering quality family homes.
The location is excellent, a quiet, established street close to schools, cafes, coastal walkways, public transport and motorway links. New family homes are in strong demand in Te Atatu Peninsula, ensuring solid resale potential and long-term value.
In addition to the current consented project, this property also offers a great landbank opportunity, with potential future rezoning in the area likely to further enhance the site's long-term value.
- RC approved for 3 dwellings on 1591sqm
- Existing character brick home to be retained
- Watercare approval in place
- Wide road frontage
- Flat site with great access to services
- Ideal for smaller developers or builders
- Excellent landbank potential with possible future rezoning
- Strong demand for new family homes in Te Atatu
Opportunities like this don't come up often secure it today and build, hold, or bank for the future.
Download property documents here; https://vltre.co/CfuOdo
Open home times
Property Files

Discover more about this property.
Request the files from Harry.
Agent's details










